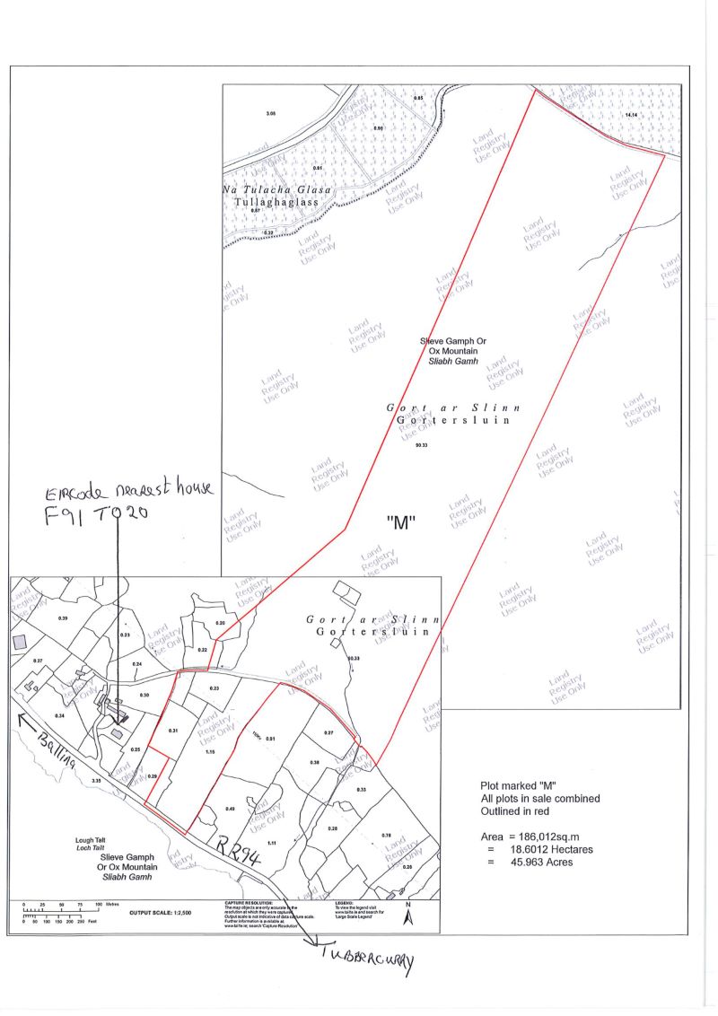
Gortersluin, Aclare, Sligo, Sligo, F91 T020

  • Unconditional Online Auction Sale

For Sale by Online Auction 8th of April 2025 at 11am

Description


45.963 acre hill farm (18.6 hectares)

Predominantly made up of heather and rough grazing, there is a small potion of grass on the part closest to the road. This farm is well fenced on all sides. It is within the Lough Hoe Bog Special area of Conservation (SAC) and benefits from various payments for farming such sensitive areas.

Situated on the road between the villages of Tubbercurry and Bonniconlon, the land has road frontage onto the R294 that continues to Ballina. The land overlooks the beautiful Lough Talt. There are 18.6 units of EU entitlements with a value of approx €112 p/u

Loading the bidding panel...

Terms & Conditions to bid on this Property

Related Documents

Make an Enquiry

Submit an enquiry and someone will be in contact shortly.

 
*  
*  
*
*
*

Share